If you have a husband like mine who hates the beach as much as you love it, you have got to be creative. In the middle of some planning for a short trip to the northern part of Okinawa, hubby came across some information about an underwater observatory and had been meaning to visit. Imagine my excitement! I had to trade a finger or two just to drag him to the water but at that very moment, the universe connived. And when rare moments such as these knock, you strike the iron real hard.  

The underwater observatory tower is located in Busena Marine Park in Nago City, about an hour drive on Highway 58 from Ginowan. The beach line alone is stunning. We were not properly dressed for the beach but it was a perfect sunny day to enjoy in autumn. The sand was beautiful in white and the blue sky was a marvelous reflection of the crystal water Okinawa is famous for.

The beautiful beach line at Busena Marine Park ブセナ海中公園 in Nago City, Okinawa, Japan.
The beautiful beach line at Busena Marine Park ブセナ海中公園 in Nago City, Okinawa, Japan.

The underwater observatory tower is located 170 meters away from the shore near Busena Cape accessible by free shuttle bus at the Okinawa Busena Resort that departs every 20 minutes from the Beach House to the tower and vice versa. It was a pretty day so we decided to skip the ride and enjoyed the view as we walked approaching the observatory instead.

The Beach House that serves as the terminal for the shuttle bus at Busena Marine Park ブセナ海中公園 in Nago City, Okinawa, Japan.
The Beach House that serves as the terminal for the shuttle bus at Busena Marine Park ブセナ海中公園 in Nago City, Okinawa, Japan.
The shuttle bus at Okinawa Busena Resort that departs every 20 minutes from the Beach House to the observatory tower and vice versa.
The shuttle bus at Okinawa Busena Resort that departs every 20 minutes from the Beach House to the observatory tower and vice versa.
Busena Marine Park ブセナ海中公園 in Nago City, Okinawa, Japan.
Busena Marine Park ブセナ海中公園 in Nago City, Okinawa, Japan.
Approaching the Underwater Observatory Tower at Busena Marine Park ブセナ海中公園 in Nago City, Okinawa, Japan.
Approaching the Underwater Observatory Tower at Busena Marine Park ブセナ海中公園 in Nago City, Okinawa, Japan.
The Underwater Observatory Tower at Busena Marine Park ブセナ海中公園 in Nago City, Okinawa, Japan.
The Underwater Observatory Tower at Busena Marine Park ブセナ海中公園 in Nago City, Okinawa, Japan.

The observatory allows visitors a 360 degree view of the marine life with a spiral corridor that descends 5 meters deep without getting wet. It is like getting inside a giant tank with glass windows open to the underwater world. As geeks and proud Whovians ourselves, we thought it was the closest we can get to a Tardis :)

The Underwater Observatory Tower at Busena Marine Park ブセナ海中公園 in Nago City, Okinawa, Japan.
The Underwater Observatory Tower at Busena Marine Park ブセナ海中公園 in Nago City, Okinawa, Japan.
The spiral corridor at the underwater observatory tower descends 5 meters giving visitors a 360 degree view of marine life.
The spiral corridor at the underwater observatory tower descends 5 meters giving visitors a 360 degree view of marine life.
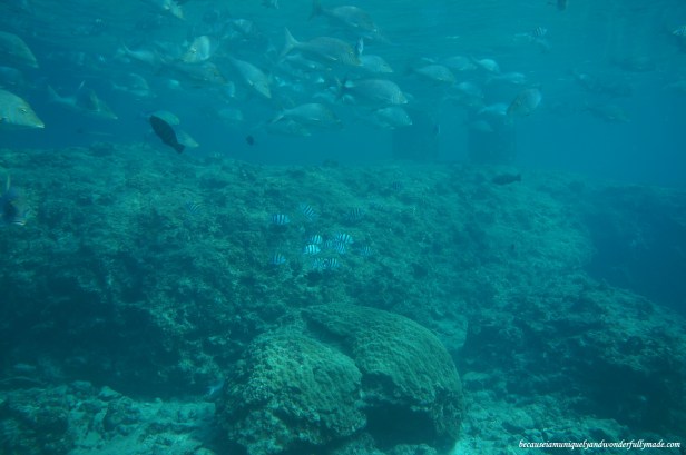
Exploring the marine world 5 meters deep through the glass windows at the Underwater Observatory in Busena Marine Park ブセナ海中公園 in Nago City, Okinawa, Japan.
Exploring the marine world 5 meters deep through the glass windows at the Underwater Observatory in Busena Marine Park ブセナ海中公園 in Nago City, Okinawa, Japan.
Exploring the marine world 5 meters deep through the glass windows at the Underwater Observatory in Busena Marine Park ブセナ海中公園 in Nago City, Okinawa, Japan.
Exploring the marine world 5 meters deep through the glass windows at the Underwater Observatory in Busena Marine Park ブセナ海中公園 in Nago City, Okinawa, Japan.
A peek of marine world 5 meters deep through the glass windows at the Underwater Observatory in Busena Marine Park ブセナ海中公園 in Nago City, Okinawa, Japan.
A peek of marine world 5 meters deep through the glass windows at the Underwater Observatory in Busena Marine Park ブセナ海中公園 in Nago City, Okinawa, Japan.
Finding Nemo 5 meters deep through the glass windows at the Underwater Observatory in Busena Marine Park ブセナ海中公園 in Nago City, Okinawa, Japan.
Finding Nemo 5 meters deep through the glass windows at the Underwater Observatory in Busena Marine Park ブセナ海中公園 in Nago City, Okinawa, Japan.
Finding Nemo 5 meters deep through the glass windows at the Underwater Observatory in Busena Marine Park ブセナ海中公園 in Nago City, Okinawa, Japan.
Finding Nemo 5 meters deep through the glass windows at the Underwater Observatory in Busena Marine Park ブセナ海中公園 in Nago City, Okinawa, Japan.
A peek of marine world 5 meters deep through the glass windows at the Underwater Observatory in Busena Marine Park ブセナ海中公園 in Nago City, Okinawa, Japan.
A peek of marine world 5 meters deep through the glass windows at the Underwater Observatory in Busena Marine Park ブセナ海中公園 in Nago City, Okinawa, Japan.
View of the fishes from the tower at the Underwater Observatory in Busena Marine Park ブセナ海中公園 in Nago City, Okinawa, Japan.
View of the fishes from the tower at the Underwater Observatory in Busena Marine Park ブセナ海中公園 in Nago City, Okinawa, Japan.

There are also glass bottom tours available but we thought it was redundant after having a wonderful time at the underwater observatory. The whale-shaped glass bottom boats were pretty cool though.

View looking out from the Underwater Observatory Tower in Busena Marine Park ブセナ海中公園 in Nago City, Okinawa, Japan. Whale-shaped glass bottom boat is seen in this photo.
View looking out from the Underwater Observatory Tower in Busena Marine Park ブセナ海中公園 in Nago City, Okinawa, Japan. Whale-shaped glass bottom boat is seen in this photo.
Busena Marine Park ブセナ海中公園 is a part of the Busena Terrace Beach Resort, a luxury beach resort hotel in Nago City, Okinawa, Japan.
Busena Marine Park ブセナ海中公園 is a part of the Busena Terrace Beach Resort, a luxury beach resort hotel in Nago City, Okinawa, Japan.

TRAVELLER’S NOTE:

Busena Marine Park is a part of the Busena Terrace Beach Resort, a luxury beach resort hotel. A little walk up to the resort’s restaurant will surprise you with a breathtaking view of the cape and the observatory tower. It is Okinawa’s pride considering it has hosted the G8 Leaders’ Summit in 2000 with the world’s famous leaders like US (Ex) President Bill Clinton and Russian President Vladimir Putin just to name a few who have enjoyed the beauty of this sweet cape paradise.

View of the Underwater Observatory from Busena Terrace Beach Resort restaurant in Nago City, Okinawa, Japan.
View of the Underwater Observatory from Busena Terrace Beach Resort restaurant in Nago City, Okinawa, Japan.
Overlooking the Underwater Observatory from Busena Terrace Beach Resort restaurant in Nago City, Okinawa, Japan.
Overlooking the Underwater Observatory from Busena Terrace Beach Resort restaurant in Nago City, Okinawa, Japan.
Busena Terrace Beach Resort hosted the G8 Leaders' Summit in 2000 with the world's famous leaders like US (Ex) President Bill Clinton and Russian President Vladimir Putin just to name a few who has graced this facility.
Busena Terrace Beach Resort hosted the G8 Leaders’ Summit in 2000 with the world’s famous leaders like US (Ex) President Bill Clinton and Russian President Vladimir Putin just to name a few who has graced this facility.
Busena Terrace Beach Resort hosted the G8 Leaders' Summit in 2000 with the world's famous leaders like US (Ex) President Bill Clinton and Russian President Vladimir Putin just to name a few who has graced this facility.
Busena Terrace Beach Resort hosted the G8 Leaders’ Summit in 2000 with the world’s famous leaders like US (Ex) President Bill Clinton and Russian President Vladimir Putin just to name a few who has graced this facility.

Now, how awesome this treat was on my birthday? PRETTY AWESOME :)

DSC08383